Local Service Overview

Get Ants Extermination Service in Indianapolis, IN

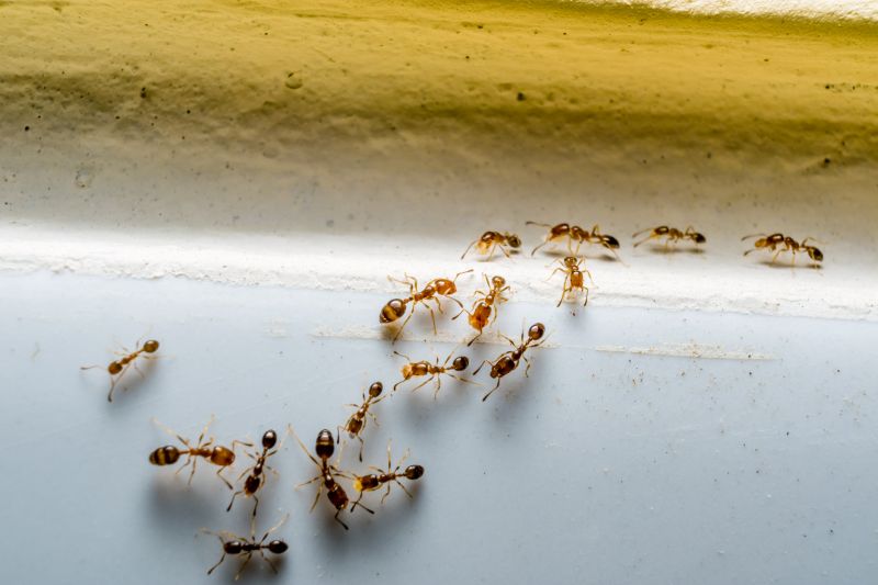
Ants extermination services for property owners in Indianapolis and nearby areas address ant infestations, including residential and commercial pest removal and prevention projects.

Indianapolis, IN

Ants extermination services in Indianapolis, IN are essential for property owners seeking to maintain a comfortable and safe environment. An ant infestation can disrupt daily routines, lead to potential property damage, and create an unclean living or working space. Professional exterminators utilize targeted methods to effectively eliminate colonies, helping to restore peace of mind and ensure that homes and businesses remain functional and inviting.

Choosing expert ant control solutions offers several benefits, including enhanced durability of the property’s structure by preventing damage caused by persistent ant activity. Additionally, these services contribute to reduced ongoing maintenance needs and improve curb appeal by keeping outdoor and indoor spaces clean and pest-free. Property owners looking for reliable, long-lasting results often find that professional extermination provides a practical way to protect their investment and promote a healthier environment.

Get Ants Extermination Service Quotes

  • Ant Infestation Removal - needed when ants invade kitchens, pantries, or other indoor areas in residential or commercial properties.
  • Outdoor Ant Control - required when ants establish colonies around lawns, gardens, or building foundations in nearby neighborhoods.
  • Ant Prevention Treatments - useful for preventing future ant problems after initial removal efforts in homes or business premises.
  • Emergency Ant Extermination - necessary when ant colonies suddenly become overwhelming or cause urgent concerns in high-traffic areas.
  • Seasonal Ant Protection - recommended during peak ant activity seasons to maintain a pest-free environment in local properties.

Get Ants Extermination Service Quotes

Ants Extermination Service
Ants Extermination Service
Ants Extermination Service

Ants extermination services involve professional methods to identify and eliminate ant infestations within residential, commercial, or industrial properties. These services typically include thorough inspections to locate ant colonies and entry points, followed by targeted treatments using specialized products. Depending on the severity of the infestation, service providers may employ baiting systems, residual insecticides, or other pest control techniques to effectively reduce or eradicate ant populations. The goal is to create a barrier that prevents ants from re-entering and to eliminate existing colonies to restore a pest-free environment.

Ant infestations can cause various problems for property owners. Aside from the nuisance of constant ant activity, some species may contaminate food supplies, damage structures, or create unsanitary conditions. Certain ants, like carpenter ants, can compromise the integrity of wood structures, leading to costly repairs if left untreated. Additionally, the presence of ants can attract other pests or contribute to an overall decline in hygiene standards. Professional extermination services help address these issues by removing the pests and implementing strategies to prevent future invasions.

Properties that commonly utilize ants extermination services include homes, apartment complexes, restaurants, retail stores, and office buildings. Residential properties often seek treatment to protect food storage areas and maintain hygiene, especially in kitchens and pantries. Commercial spaces, particularly food service establishments, require regular pest control to meet health standards and ensure customer safety. Multi-unit dwellings and commercial facilities with large interior or exterior spaces also benefit from ongoing pest management programs to control ant populations and prevent outbreaks.

Engaging with local pest control providers for ants extermination services offers a tailored approach to pest management. These professionals assess the specific needs of each property, considering factors such as size, location, and type of ant species involved. They develop customized treatment plans aimed at effectively eliminating existing infestations and reducing the likelihood of future problems. By working with experienced service providers, property owners can maintain a pest-free environment and minimize the disruptions caused by ant invasions.

The overview below groups typical Ants Extermination Service projects into broad ranges so you can see how smaller, mid-sized, and larger jobs often compare in Indianapolis, IN.

In many markets, a large share of routine jobs stays in the lower and middle ranges, while only a smaller percentage of projects moves into the highest bands when the work is more complex or site conditions are harder than average.

Initial Inspection - The cost for an ant inspection typically ranges from $50 to $150, depending on the property size and complexity. This fee covers identifying ant species and infestation severity. Some service providers include the inspection in the overall treatment cost.

Basic Treatment - Standard ant extermination services usually cost between $100 and $300 for a single treatment. Prices vary based on the extent of the infestation and the treatment method used. Larger or more severe infestations may increase the cost.

Follow-Up Service - Follow-up visits to ensure ant elimination generally range from $50 to $200. These visits are recommended for persistent or recurring infestations and may be included in ongoing service plans.

Whole-Property Treatment - Complete property extermination costs typically fall between $200 and $500. This includes comprehensive treatment of indoor and outdoor areas to prevent future ant problems, with prices varying by property size and treatment scope.

Actual totals will depend on details like access to the work area, the scope of the project, and the materials selected, so use these as general starting points rather than exact figures.

Get an Ants Extermination Service Quote

Ants Extermination - Local pest control providers offer targeted solutions to eliminate ant infestations in residential and commercial properties. Their services include identification, treatment, and prevention strategies to keep spaces ant-free.

Ants Prevention - Service providers assist in implementing barrier methods and sanitation practices to prevent future ant invasions. These preventative measures help maintain a pest-free environment over time.

Commercial Ants Control - Commercial pest control specialists address ant problems in business settings, ensuring minimal disruption while effectively managing infestations. They tailor treatments to meet specific industry needs.

Residential Ants Removal - Local pros provide comprehensive removal services for homes, targeting common ant species and reducing the risk of recurring issues. They focus on safe and effective treatment options.

Ants Inspection Services - Pest control experts conduct thorough inspections to identify ant entry points, nesting sites, and infestation severity. Inspection reports help guide appropriate treatment plans.

Eco-Friendly Ants Treatments - Some service providers offer environmentally conscious treatment options that effectively control ant populations while minimizing chemical use. These solutions are suitable for sensitive environments.

Ants Extermination Service

When comparing local pros for ant extermination services, experience is an important factor to consider. Homeowners can review the backgrounds of various service providers to determine how long they have been operating in the area and their familiarity with common ant issues specific to regions like Indianapolis, IN. A proven track record of handling ant infestations can indicate a provider’s ability to effectively address the problem, ensuring that the chosen professional has relevant experience tailored to local pest challenges.

Clear communication and written expectations are essential when selecting a pest control provider. Pros should provide detailed information about their services, including treatment methods, safety considerations, and follow-up procedures. Establishing transparent and consistent communication helps homeowners understand what to expect and ensures that any questions or concerns are addressed before work begins. This clarity can contribute to a smoother service experience and help prevent misunderstandings.

Reputable references and local reputation are valuable indicators of a service provider’s reliability. Homeowners are encouraged to seek out reviews or testimonials from previous clients in the community to gauge satisfaction levels. Additionally, checking for references or recommendations from trusted sources can provide insight into a contractor’s professionalism and quality of work. Connecting with local pros who have established a positive reputation within the community can increase confidence in selecting a provider for ant extermination services.

Get an Ants Extermination Service Quote

Property owners in Indianapolis, IN use Ants Extermination Service services for practical projects around their homes and businesses. The sections below highlight everyday jobs and straightforward project options.

Ants Extermination Service
Ants Extermination Service

Ants extermination services are commonly sought by property owners in Indianapolis, IN when they notice persistent ant activity indoors or around their property. Common situations include discovering ant trails in kitchens, bathrooms, or basements, which can indicate an ongoing infestation. Property owners may also seek assistance if they see large numbers of ants entering through cracks or gaps in the foundation, or if they find ant mounds or nests nearby. Addressing these issues promptly can help prevent further intrusion and potential damage caused by ant colonies.

Many property owners in Indianapolis turn to local ant extermination professionals when they want to eliminate existing ant problems or prevent future ones. Reasons for seeking these services often include the desire to maintain a clean and pest-free environment, especially in areas where food is stored or prepared. Additionally, property owners may look for help after experiencing repeated ant sightings despite previous attempts at control, or when they want to ensure their home or business remains free of pests that could cause inconvenience or damage.

Get an Ants Extermination Service Quote

How do ant extermination services work? Ant extermination services typically involve inspecting the affected area, identifying ant colonies, and applying targeted treatments to eliminate the pests and their nests.

Are there different types of ant treatments available? Yes, local service providers may offer various treatment options such as baiting, spraying, or dusting to effectively control different ant species.

How long does an ant extermination process usually take? The duration varies depending on the extent of the infestation and the treatment method used, but most services aim to address the problem efficiently.

Is ongoing maintenance necessary after an ant extermination? Some providers recommend follow-up treatments or preventative measures to ensure ants do not return.

How can I prevent future ant infestations? Local pros can advise on sanitation practices, sealing entry points, and implementing preventative treatments to reduce the likelihood of future ant problems.

Ants Extermination Methods - Local service providers can implement effective strategies to eliminate ant infestations using various treatment options.

Preventive Ant Control Tips - Pros can offer advice on reducing attractants and sealing entry points to help prevent future ant problems.

Residential Ant Extermination Services - Specialists provide targeted solutions for homes affected by ant colonies, ensuring a thorough removal.

Commercial Ant Pest Management - Business-focused providers can develop customized plans to address ant issues in commercial properties.

Ants Extermination Service

Considering Ants Extermination Service for a property in Indianapolis, IN? The sections above highlight common project types, practical options, and details that often shape the scope of work.

When you are ready, use the quote form to share a few details about your project. Local pros can review the basics and respond with options that match what you have in mind.

Get an Ants Extermination Service Quote

Ants Extermination Quotes